Postat 13 ianuarie 2026
Vand/Inchiriez Teren 1000mp, Strada Stefan cel Mare (DJ100), Tunari
3 €
Persoana fizica
Suprafata utila: 1 000 m²
Extravilan / intravilan: Intravilan
Descriere
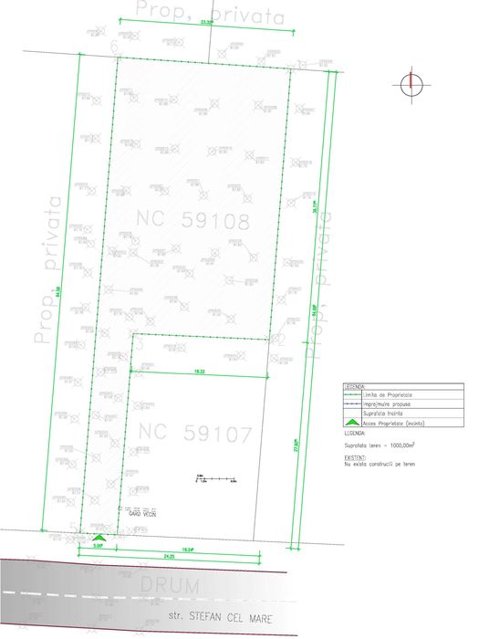
Direct proprietar, vand sau inchiriez Teren 1000mp, situat la Soseaua Stefan cel Mare (DJ100), comuna Tunari, jud. Ilfov, in apropierea complexului Cosmopolis si lacului Pasarea, imprejmuire facuta partial, retras fata de strada principala (DJ100) printr-un drum de acces ce face parte din proprietate, deschidere teren de aproximativ 24ml (se pot vedea dimensiunile laturilor in planul de situatie), ideal pentru investitie imobiliara, comert ori locuinta personala. Zona respectiva se inscrie in UTR M - zona functiuni mixte, POT max. - 40%, CUT max. - 1,2, regim maxim de inaltime P+2E. Toate utilitatile se regasesc la strada (DJ100), langa proprietate: apa, canalizare, electricitate, gaze naturale, telecomunicatii. Pentru mai multe detalii a celor interesati, se discuta telefonic. Pretul pentru inchiriere 3000 euro/luna iar pentru vanzare 270000 euro.
ID: 287389554
Contactează vânzătorul
xxx xxx xxx
Localitate
Tunari
Bucuresti - Ilfov
