Postat 07 aprilie 2026
Teren intravilan 7500 mp cu acces la DN–ideal supermarket, dezvoltar
225 000 €
Firma
Suprafata utila: 7 500 m²
Extravilan / intravilan: Intravilan
Descriere
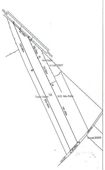
Oportunitate excelentă de investiție! Vă propunem spre vânzare un teren intravilan arabil cu suprafața de 7.500 mp, situat în comuna Albești Paleologu, județul Prahova, într-o zonă cu potențial ridicat de dezvoltare comercială și industrială.
Terenul este plat, cu acces direct la două căi de circulație, oferind vizibilitate și accesibilitate foarte bune:
• Deschidere de 52,16 m la DN (Drum Național)
• Deschidere de 26,60 m la un drum secundar
Dimensiunile aproximative ale laturilor terenului sunt 300 m x 340 m, ceea ce permite o configurare eficientă pentru diverse tipuri de proiecte.
Avantaje principale:
• teren intravilan
• suprafață generoasă: 7.500 mp
• două căi de acces
• vizibilitate excelentă la DN
• teren plat, arabil – costuri reduse de amenajare
• acces la toate utilitățile din zonă
• potrivit pentru proiecte comerciale sau industriale
Destinații recomandate:
• supermarket / retail park
• hală industrială sau logistică
• spații comerciale
• dezvoltare imobiliară
Preț: 30 euro/mp
Acest teren reprezintă o alegere foarte bună pentru investitori sau dezvoltatori care caută o locație strategică, cu acces rapid la infrastructura rutieră principală.
Pentru mai multe detalii sau pentru programarea unei vizionări, nu ezitați să ne contactați.
Cod ofertă / ID BLITZ: P165766
Terenul este plat, cu acces direct la două căi de circulație, oferind vizibilitate și accesibilitate foarte bune:
• Deschidere de 52,16 m la DN (Drum Național)
• Deschidere de 26,60 m la un drum secundar
Dimensiunile aproximative ale laturilor terenului sunt 300 m x 340 m, ceea ce permite o configurare eficientă pentru diverse tipuri de proiecte.
Avantaje principale:
• teren intravilan
• suprafață generoasă: 7.500 mp
• două căi de acces
• vizibilitate excelentă la DN
• teren plat, arabil – costuri reduse de amenajare
• acces la toate utilitățile din zonă
• potrivit pentru proiecte comerciale sau industriale
Destinații recomandate:
• supermarket / retail park
• hală industrială sau logistică
• spații comerciale
• dezvoltare imobiliară
Preț: 30 euro/mp
Acest teren reprezintă o alegere foarte bună pentru investitori sau dezvoltatori care caută o locație strategică, cu acces rapid la infrastructura rutieră principală.
Pentru mai multe detalii sau pentru programarea unei vizionări, nu ezitați să ne contactați.
Cod ofertă / ID BLITZ: P165766
ID: 302265263
Contactează vânzătorul
Localitate
Albesti-Paleologu
Prahova