Postat 23 martie 2026
Teren intravilan 3480 mp Jariștea utilități, casă de vacanță sau fermă
25 950 €
Persoana fizica
Suprafata utila: 3 480 m²
Extravilan / intravilan: Intravilan
Descriere
Teren intravilan 3480 mp Jariștea (lângă Odobesti) liniște totală, utilități, ideal casă de vacanță sau fermă
Ofer spre vânzare teren intravilan situat în comuna Jariștea, pe Strada Blaga nr. 30, într-o zonă liniștită, locuită, cu acces din drum asfaltat.
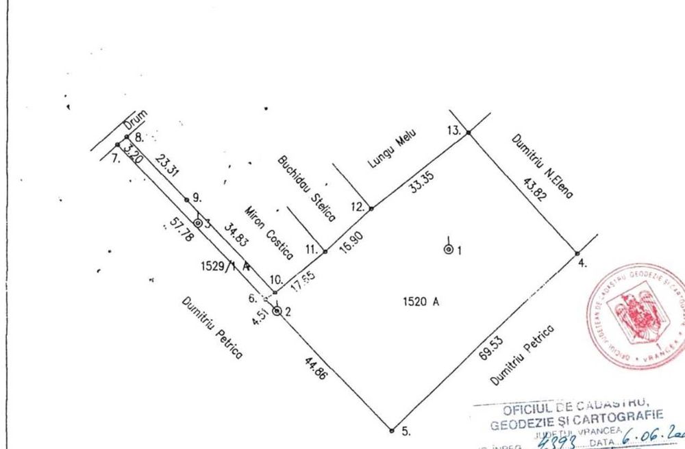
Terenul are o suprafață de 3.480 mp și beneficiază de acces privat, cu deschidere de aproximativ 3,20 ml la stradă, care se lărgește la aproximativ 3,5 ml pe toată lungimea accesului. Accesul permite intrarea auto și oferă intimitate, terenul fiind retras față de trafic și zgomot.
Parcela principală are o formă aproape dreptunghiulară, ușor de utilizat pentru construcție sau activități agricole.
Terenul este fertil și potrivit pentru:
construcția unei case de locuit sau de vacanță
înființarea unei livezi sau a unei plantații de viță de vie
dezvoltarea unei mici exploatații agricole
Utilitățile sunt disponibile la poartă, iar zona este deja construită, cu vecini în imediata apropiere.
În apropiere se află biserică, magazine și supermarket, oferind acces facil la tot ce este necesar pentru traiul zilnic.
Comuna Jariștea este situată la doar câțiva kilometri de Focșani, într-o zonă cunoscută pentru liniște, aer curat și tradiție viticolă, fiind ideală pentru cei care doresc să se retragă din agitația orașului fără a pierde accesul la facilități.
Accesul din București este facil, pe autostradă, iar durata de deplasare este de aproximativ 2 ore și 10 minute.
Proprietatea reprezintă o oportunitate reală pentru cei care caută liniște, spațiu și un teren valoros, într-o zonă accesibilă.
Preț: 25950 negociabil
Ofer spre vânzare teren intravilan situat în comuna Jariștea, pe Strada Blaga nr. 30, într-o zonă liniștită, locuită, cu acces din drum asfaltat.
Terenul are o suprafață de 3.480 mp și beneficiază de acces privat, cu deschidere de aproximativ 3,20 ml la stradă, care se lărgește la aproximativ 3,5 ml pe toată lungimea accesului. Accesul permite intrarea auto și oferă intimitate, terenul fiind retras față de trafic și zgomot.
Parcela principală are o formă aproape dreptunghiulară, ușor de utilizat pentru construcție sau activități agricole.
Terenul este fertil și potrivit pentru:
construcția unei case de locuit sau de vacanță
înființarea unei livezi sau a unei plantații de viță de vie
dezvoltarea unei mici exploatații agricole
Utilitățile sunt disponibile la poartă, iar zona este deja construită, cu vecini în imediata apropiere.
În apropiere se află biserică, magazine și supermarket, oferind acces facil la tot ce este necesar pentru traiul zilnic.
Comuna Jariștea este situată la doar câțiva kilometri de Focșani, într-o zonă cunoscută pentru liniște, aer curat și tradiție viticolă, fiind ideală pentru cei care doresc să se retragă din agitația orașului fără a pierde accesul la facilități.
Accesul din București este facil, pe autostradă, iar durata de deplasare este de aproximativ 2 ore și 10 minute.
Proprietatea reprezintă o oportunitate reală pentru cei care caută liniște, spațiu și un teren valoros, într-o zonă accesibilă.
Preț: 25950 negociabil
ID: 301607991
Contactează vânzătorul
xxx xxx xxx
Localitate
Jaristea
Vrancea