Postat 07 septembrie 2025
TEREN DOMNESTI/Drumul Targului/Ciutaci
47 000 €
Persoana fizica
Suprafata utila: 1 000 m²
Extravilan / intravilan: Intravilan
Descriere
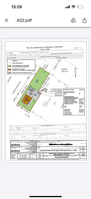
Proprietar, vand teren intravilan 1000 mp, din care 796 mp teren construibil, plus cota parte 2/16 in suprafata de 693 mp pentru drum de acces ( servitute) ,plus cota parte 1/2 in sufrafata de 103 mp cu destinatia drum de acces , plus cota parte 1/6 in suprafata de 135 mp cu destinatia drum de acces ( parcare) .
Terenul are trei deschideri la drumul de acces care se face din str. Drumul Targului Domnesti vis-a-vis de str. Privighetorilor Domnesti , o deschidere de 13,48 m , una de 25,66 m respectiv una de 4 m .
Accesul se face din str. Drumul Targului , Domnesti .
Pentru acest teren există și proiect de casă P+1 toata documentatia se poate prelungii A.C in maxim 30 zile .
Amplasare ideala, intr-o zona in plina dezvoltare in care multiple alte proiecte imobiliare au fost realizate.
Situat intr-o zona linistita, terenul dispune de toate utilitatile , APA , CANALIARE , CURENT ELECTRIC aflate la limita proprietatii, ceea ce-l face ideal pentru o investitie sigura data de locatie si posibilitatea de a construi pana la 2 case. In plus, datorita infrastructurii realizate in ultimii ani (pod intrare Domnesti) plus cele aflate in curs de finalizare (largire benzi) distanta pana la Piata Unirii este de doar 30 minute, urmand sa se reduca pe masura ce lucrarile se vor finaliza. Avand in vedere preturile in crestere, reprezinta o alternativa excelenta in raport cu apartamentele aflate in zonele invecinate aglomerate precum Drumul Taberei, Ghencea sau 13 Septembrie,
TEL: 07******23
Terenul are trei deschideri la drumul de acces care se face din str. Drumul Targului Domnesti vis-a-vis de str. Privighetorilor Domnesti , o deschidere de 13,48 m , una de 25,66 m respectiv una de 4 m .
Accesul se face din str. Drumul Targului , Domnesti .
Pentru acest teren există și proiect de casă P+1 toata documentatia se poate prelungii A.C in maxim 30 zile .
Amplasare ideala, intr-o zona in plina dezvoltare in care multiple alte proiecte imobiliare au fost realizate.
Situat intr-o zona linistita, terenul dispune de toate utilitatile , APA , CANALIARE , CURENT ELECTRIC aflate la limita proprietatii, ceea ce-l face ideal pentru o investitie sigura data de locatie si posibilitatea de a construi pana la 2 case. In plus, datorita infrastructurii realizate in ultimii ani (pod intrare Domnesti) plus cele aflate in curs de finalizare (largire benzi) distanta pana la Piata Unirii este de doar 30 minute, urmand sa se reduca pe masura ce lucrarile se vor finaliza. Avand in vedere preturile in crestere, reprezinta o alternativa excelenta in raport cu apartamentele aflate in zonele invecinate aglomerate precum Drumul Taberei, Ghencea sau 13 Septembrie,
TEL: 07******23
ID: 292353298
Contactează vânzătorul
xxx xxx xxx
Localitate
Domnesti
Bucuresti - Ilfov