Postat 07 noiembrie 2025
Oportunitate de Investiție: Teren Intravilan DJ 226 Năvodari - Lumina
2 307 060 €
Prețul e negociabil
Persoana fizica
Suprafata utila: 65 916 m²
Extravilan / intravilan: Intravilan
Descriere
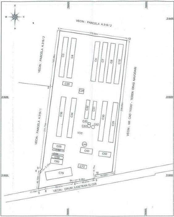
Vă prezentăm o oportunitate excepțională de investiție: un teren intravilan compact de 65.916 mp (6.59 hectare), situat strategic pe principalul coridor de dezvoltare economică dintre Năvodari și Lumina, județul Constanța.
Cu o deschidere generoasă de aproximativ 200 de metri direct la drumul județean DJ 226, acest teren reprezintă o platformă ideală pentru dezvoltatori vizionari care doresc să capitalizeze pe creșterea economică accelerată a litoralului românesc.
Detalii Tehnice ale Proprietății:
Suprafață Totală: 65.916 mp (6.59 Hectare)
Statut Juridic: Intravilan, încadrare "curți construcții", permițând o gamă largă de scenarii de dezvoltare.
Front Stradal: 200 metri la DJ 226, asigurând vizibilitate și acces excelent.
Localizare: Poziționare strategică între Năvodari și Lumina, în epicentrul dezvoltării regionale.
Utilități: Proprietatea dispune de acces la toate utilitățile necesare (electricitate, apă, canalizare).
Preț: 35 mp, un preț extrem de competitiv pentru potențialul zonei.
Potențial Strategic și Avantaje Unice:
Terenul se află în calea directă de expansiune a stațiunii Mamaia Nord, una dintre cele mai dinamice piețe imobiliare din Europa de Est. Cererea masivă generată de proiectele rezidențiale și hoteliere de lux creează o nevoie acută și nesatisfăcută pentru centre logistice, retail de format mare și locuințe pentru forța de muncă din turism o cerere pe care această proprietate este perfect poziționată să o deservească.
Valoarea proprietății va fi amplificată fundamental de proiectul de reabilitare a drumului de ocolire DJ 226C. Acesta va crea o legătură directă și rapidă între vecinătatea terenului și autostrada A2 ("Autostrada Soarelui") și Portul Constanța, transformând locația într-un nod logistic cheie și eliminând congestia traficului local.
Posibilități Versatile de Dezvoltare:
Dimensiunea și amplasarea terenului sunt ideale pentru multiple proiecte de anvergură, cu cerere ridicată în piață:
Parc Logistic și Industrial Ușor: Beneficiind de accesul direct la rețeaua națională de autostrăzi și la Portul Constanța, este locația perfectă pentru depozite moderne, centre de distribuție sau unități de producție ușoară.
Centru Comercial de tip "Big-Box": Poate deservi populația în creștere rapidă din Năvodari și Mamaia Nord, acoperind un gol evident în infrastructura de retail modern.
Dezvoltare Mixtă (Rezidențial și Comercial): Un proiect care să combine locuințe accesibile pentru angajații din turism și industrie cu facilități comerciale integrate (magazine, cafenele, farmacii).
Cartier Rezidential:
Un proiect de blocuri de locuinte si case.
Hub de Servicii Suport pentru Turism (HoReCa): O locație centralizată pentru bucătării industriale, spălătorii, depozite frigorifice și alte servicii esențiale pentru sutele de hoteluri și restaurante din Mamaia Nord.
Acest teren nu este doar o simplă parcelă, ci o investiție strategică într-o zonă cu o traiectorie de creștere clară și susținută. Prețul de 35 mp reprezintă un punct de intrare avantajos, cu un potențial semnificativ de apreciere a valorii pe termen mediu și lung.
Cu o deschidere generoasă de aproximativ 200 de metri direct la drumul județean DJ 226, acest teren reprezintă o platformă ideală pentru dezvoltatori vizionari care doresc să capitalizeze pe creșterea economică accelerată a litoralului românesc.
Detalii Tehnice ale Proprietății:
Suprafață Totală: 65.916 mp (6.59 Hectare)
Statut Juridic: Intravilan, încadrare "curți construcții", permițând o gamă largă de scenarii de dezvoltare.
Front Stradal: 200 metri la DJ 226, asigurând vizibilitate și acces excelent.
Localizare: Poziționare strategică între Năvodari și Lumina, în epicentrul dezvoltării regionale.
Utilități: Proprietatea dispune de acces la toate utilitățile necesare (electricitate, apă, canalizare).
Preț: 35 mp, un preț extrem de competitiv pentru potențialul zonei.
Potențial Strategic și Avantaje Unice:
Terenul se află în calea directă de expansiune a stațiunii Mamaia Nord, una dintre cele mai dinamice piețe imobiliare din Europa de Est. Cererea masivă generată de proiectele rezidențiale și hoteliere de lux creează o nevoie acută și nesatisfăcută pentru centre logistice, retail de format mare și locuințe pentru forța de muncă din turism o cerere pe care această proprietate este perfect poziționată să o deservească.
Valoarea proprietății va fi amplificată fundamental de proiectul de reabilitare a drumului de ocolire DJ 226C. Acesta va crea o legătură directă și rapidă între vecinătatea terenului și autostrada A2 ("Autostrada Soarelui") și Portul Constanța, transformând locația într-un nod logistic cheie și eliminând congestia traficului local.
Posibilități Versatile de Dezvoltare:
Dimensiunea și amplasarea terenului sunt ideale pentru multiple proiecte de anvergură, cu cerere ridicată în piață:
Parc Logistic și Industrial Ușor: Beneficiind de accesul direct la rețeaua națională de autostrăzi și la Portul Constanța, este locația perfectă pentru depozite moderne, centre de distribuție sau unități de producție ușoară.
Centru Comercial de tip "Big-Box": Poate deservi populația în creștere rapidă din Năvodari și Mamaia Nord, acoperind un gol evident în infrastructura de retail modern.
Dezvoltare Mixtă (Rezidențial și Comercial): Un proiect care să combine locuințe accesibile pentru angajații din turism și industrie cu facilități comerciale integrate (magazine, cafenele, farmacii).
Cartier Rezidential:
Un proiect de blocuri de locuinte si case.
Hub de Servicii Suport pentru Turism (HoReCa): O locație centralizată pentru bucătării industriale, spălătorii, depozite frigorifice și alte servicii esențiale pentru sutele de hoteluri și restaurante din Mamaia Nord.
Acest teren nu este doar o simplă parcelă, ci o investiție strategică într-o zonă cu o traiectorie de creștere clară și susținută. Prețul de 35 mp reprezintă un punct de intrare avantajos, cu un potențial semnificativ de apreciere a valorii pe termen mediu și lung.
ID: 292772793
Contactează vânzătorul
xxx xxx xxx
Localitate
Lumina
Constanta