Postat 12 decembrie 2025
Cladiri in subzona mixta cu CU pt locuinte si teren 13892mp Bartolomeu
1 985 000 €
Prețul e negociabil
Firma
Suprafata construita (m2): 3 250
Suprafata utila (m2): 3 250
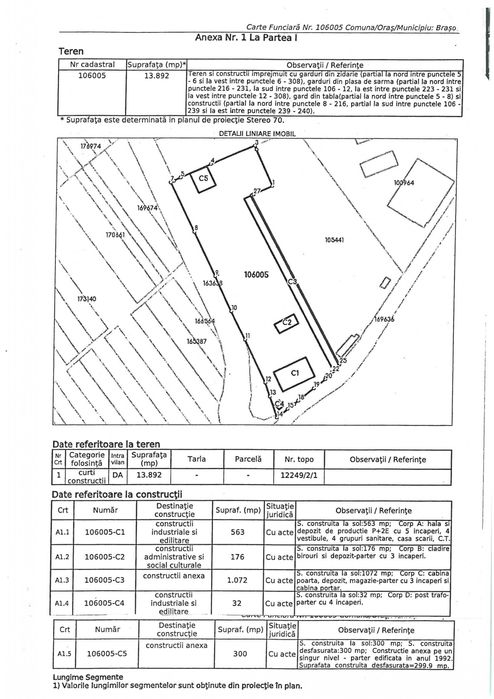
Suprafata teren (m2): 13 892
Tip proprietate: Spatiu productie, Distributie, Depozit
Inaltime utila (m): 4
Stare: Utilizat
Anul constructiei: 1982
Acces: Aeroport, Autostrada, Transport public
Infrastructura de baza: Acces pentru vehicule grele, Apa curenta
Alte facilitati: Baie privata, Gaze naturale
Siguranta: Sistem de alarma, Gard, Detector de gaz, Supraveghere 24/7, Supraveghere video
Descriere
Se ofera spre vanzare, direct de la proprietar, spatiu in subzona mixta, in afara zonei protejate si teren de 13892 mp, amplasat pe Strada Carierei.
Detinem C.U. pentru dezvoltare ansamablu de locuite colective cu dotari aferente. Proprietatea alaturata are PUZ pentru 85000mp de dezvoltare rezidentiala cu regim de inaltime P+8E.
Suprafata construita este de 3250 mp, majoritatea spatiilor fiind inchiriate.
Suprafata de teren libera este de 10000 mp.
Front la doua strazi, ansamblul avand asigurate utilitatiile: energie electrica prin post de transformare proprietate si retea de medie tensiune, apa, canalizare, gaz metan.
Imobilul fiind amplasat la intrarea in municipiul Brasov, dinspre Cristian, accesul auto este facil, inclusiv cu mijloace auto de mare tonaj, fiind favorizat de aproprierea fata de aeroport, ocolitoare, DN1, soseaua Cristianului, prin strada Cucului legatura directa cu viitoarea autostrada.
Detinem C.U. pentru dezvoltare ansamablu de locuite colective cu dotari aferente. Proprietatea alaturata are PUZ pentru 85000mp de dezvoltare rezidentiala cu regim de inaltime P+8E.
Suprafata construita este de 3250 mp, majoritatea spatiilor fiind inchiriate.
Suprafata de teren libera este de 10000 mp.
Front la doua strazi, ansamblul avand asigurate utilitatiile: energie electrica prin post de transformare proprietate si retea de medie tensiune, apa, canalizare, gaz metan.
Imobilul fiind amplasat la intrarea in municipiul Brasov, dinspre Cristian, accesul auto este facil, inclusiv cu mijloace auto de mare tonaj, fiind favorizat de aproprierea fata de aeroport, ocolitoare, DN1, soseaua Cristianului, prin strada Cucului legatura directa cu viitoarea autostrada.
ID: 243828770
Contactează vânzătorul
xxx xxx xxx